Furacão Melissa atinge categoria 5 e ameaça Jamaica com furor inédito
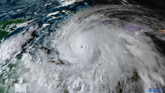
O furacão Melissa, agora na categoria 5 da Escala Saffir-Simpson, emergiu como um dos fenômenos meteorológicos mais intensos registrados no Caribe. Imagens capturadas por satélites geoestacionários da NOAA revelam uma estrutura perfeitamente simétrica e um olho vívido, evidenciando a potência dessa tempestade. Seu avanço rápido sobre Jamaica já causou alertas globais, destacando a crescente gravidade dos eventos climáticos extremos.
Condições que alimentaram o furacão Melissa
Temperaturas anormalmente elevadas das águas superficiais do Caribe, baixa cisalhamento de vento e alta umidade atmosférica criaram um cenário perfeito para a intensificação do furacão Melissa. Meteorologistas alertam que esses fatores, combinados, podem ser atribuídos às mudanças climáticas. Enquanto isso, o furacão supera até mesmo o lendário Gilbert de 1988 em termos de velocidade de intensificação.
Tecnologia espacial crucial para monitoramento
Os satélites GOES-19 e NOAA-20 forneceram imagens em alta resolução, permitindo a análise detalhada de:
- Simetria estrutural: Indica maturidade do ciclone.
- Atividade convectiva: Identificação de relâmpagos e bandas de nuvens.
- Tamanho do olho: Crítico para prever trajetória.
Impacto iminente em Jamaica e região
Projeções indicam ventos superiores a 252 km/h e até 1 metro de chuva em áreas isoladas da Jamaica. Deslizamentos e enchentes catastróficas são riscos imediatos. Autoridades já recomendam evacuações em regiões costeiras, enquanto a população se prepara para enfrentar o maior desastre natural da história moderna da ilha.
Comparativo com outros furacões
A categoria 5 do furacão Melissa representa destruição quase total, conforme a Escala Saffir-Simpson. Comparativamente:
- Furacão Katrina (2005): Causou 1,8 mil mortes e US$ 125 bilhões em danos.
- Furacão Gilbert (1988): Até então o mais intenso no Caribe, com ventos de 280 km/h.
- Melissa: Diferencia-se pela velocidade de intensificação e abrangência tecnológica de monitoramento.
Além disso, a colaboração internacional entre agências climáticas, como o Centro Nacional de Furacões dos EUA (NHC), demonstra a importância da vigilância preditiva para minimizar riscos.
